Más 85 viviendas se encuentran inundadas en proyecto Nuevo Ambiente en Palmarejo-Villa Linda
Aproximadamente 85 viviendas se encuentran inundadas en el Proyecto el Nuevo Ambiente en el distrito municipal Palmarejo-Villa Linda, ubicado en ...
Aproximadamente 85 viviendas se encuentran inundadas en el Proyecto el Nuevo Ambiente en el distrito municipal Palmarejo-Villa Linda, ubicado en ...
El ministro de Interior y Policía (MIP), Jesús Vásquez Martínez (Chu), puso a disposición de las gobernadoras provinciales el personal ...
Una mujer de 37 años y su hijo de 9 fallecieron este domingo en un barrio de la capital tras ...
La Alcaldía del Distrito Nacional, el Centro de Operaciones de Emergencia (COE) y la Defensa Civil realizaron evacuaciones preventivas en ...
El Instituto Nacional de Recursos Hidráulicos (INDRHI) informó que la tormenta Laura encontró todas las presas por debajo de su ...
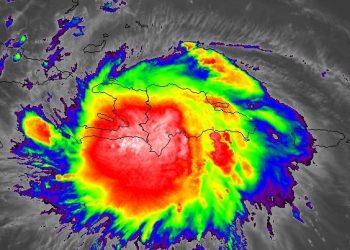
La tormenta tropical Laura descarga la noche de este sábado fuertes lluvias en varias zonas de República Dominicana, cuyas 32 ...
El Centro de Operaciones de Emergencias (COE) elevó este sábado a 25 las provincias en alerta, entre ellas 11 en ...
© 2015 - 2025 Periódico elDinero - Todos los derechos reservados.